VISIA-ihoanalyysi
Tule ihoanalyysiin ja saat ihonhoitotuotteista -20%
VISIA-ihoanalyysillä saat hyödyllistä tietoa mm. ihosi tilanteesta sekä hyvän hoitosuunnitelman kuinka ihoa tulisi jatkossa hoitaa.
Tervetuloa ihosi lähtötilanteen kartoitukseen!
Nyt saat 20 % alennuksen kaikista ihonhoitotuotteista, kun tulet VISIA- ihoanalyysiin 26.5.–9.8.
*Kampanja voimassa 26.5.–9.8. Alennus koskee VISIA-ihoanalyysin yhteydessä tehtyjä tuoteostoja kampanjan aikana.
VISIA-ihoanalyysi – ihon kunnon kartoitus ja hoidon seuranta
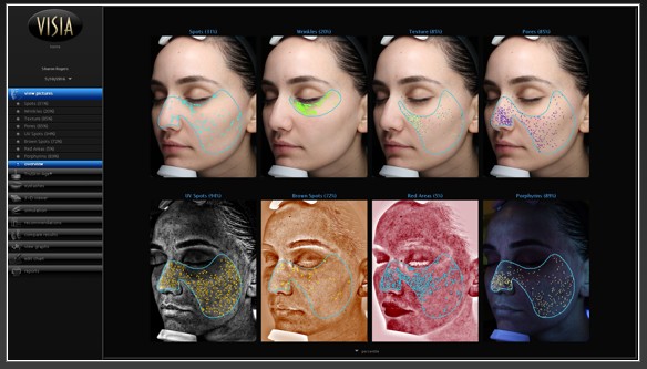
VISIA-ihoanalyysi on edistyksellinen ihoanalyysi kasvoille, joka tehdään VISIA-kasvojen kuvantamislaitteen avulla. Laite ottaa tarkat kuvat ihosta eri valotekniikoilla ja analysoi ne, jolloin saat tarkan ja objektiivisen kuvan ihosi kunnosta. Kuvauksen avulla nähdään sekä ihon pinnalla näkyvät että syvemmällä olevat muutokset, joita ei paljaalla silmällä havaita.
Mitä VISIA-ihoanalyysi kertoo ihosta?
Analyysin avulla nähdään muun muassa:
- ihohuokosten koko ja määrä
- juonteet ja rypyt
- pigmenttimuutokset
- ihon tasaisuus
- ihotulehdukset, kuten aknen jättämät jäljet
- sekä UV-säteilyn aiheuttamat vauriot.
Lisäksi VISIA tuo esiin verisuoniperäisiä muutoksia, jotka voivat liittyä esimerkiksi herkkyyteen tai couperosaan.
Miten analyysi toimii?
VISIA hyödyntää eri valotekniikoita, kuten UV- ja polarisoitua valoa. Saat luotettavan ja yksilöllisen kokonaiskuvan ihosi tilanteesta sekä tulokset verrattuna vastaaviin samanikäisten ja samantyyppisten ihotyyppien tuloksiin. Analyysin perusteella ihollesi laaditaan hoitosuunnitelma, ja saat kotihoito-ohjeet.
Ihon muutosten ennakointi
VISIA-ihoanalyysi auttaa myös ennakoimaan ihon tulevia muutoksia. Se tunnistaa ihovaurioita ja ikääntymisen merkkejä jo varhaisessa vaiheessa, ennen kuin ne näkyvät ihon pinnalla. Kun tiedetään, millaisia muutoksia ihoosi on odotettavissa, voidaan valita oikeat hoitokeinot niiden ennaltaehkäisemiseksi.
Kenelle VISIA-ihoanalyysi sopii?
VISIA-ihoanalyysi on nopea ja kivuton tutkimus. Se on erinomainen valinta, kun haluat kartoittaa ihosi lähtötilanteen tai seurata hoitotuloksia ja ihon kehitystä ajan myötä.
VISIA-ihoanalyysikuvaus:
Näin valmistaudut:
- Saavu paikalle puhtaalla, meikittömällä iholla
- Vältä raskaita ihonhoitotuotteita juuri ennen käyntiä
- Kerro mahdollisista ihohuolista tai tavoitteista sairaanhoitaja-kosmetologillemme
Kuvauksen jälkeen:
- Saat kattavan analyysin ihosi tilanteesta
- Käymme yhdessä läpi tulokset
- Laadimme ihollesi yksilöllisen hoitosuunnitelman
- Saat ohjeet ihosi kotihoitoon
VISIA-ihoanalyysi sisältyy Tience- ja PDT-hoitoihin veloituksetta ja tehdään ennen hoitoa. Mikäli haluat varata erillisen VISIA-ihonanalyysin, varaa 30 minuutin VISIA-ihoanalyysi aika tästä.
Asiantuntijat
Hinnasto
- Kotilainen Senja, Esteettinen sairaanhoitaja, kosmetologi
- Larsson Taina, Esteettinen sairaanhoitaja, kosmetologi
Tience®-pistoshoito
Hinta sisältää vastaanottokäynnin, VISIA-ihoanalyysin ja injektoitavan aineen hinnan.
- Suorsa Eija, Plastiikkakirurgian erikoislääkäri
- Tuominen Reetta, Plastiikkakirurgian erikoislääkäri, lääketieteen tohtori
- Kotilainen Senja, Esteettinen sairaanhoitaja, kosmetologi
- Larsson Taina, Esteettinen sairaanhoitaja, kosmetologi
Yhdistelmähoito Tience® ja mikroneulaus
- Kotilainen Senja, Esteettinen sairaanhoitaja, kosmetologi
- Larsson Taina, Esteettinen sairaanhoitaja, kosmetologi
Vastaanottokäynnin hintaan lisätään poliklinikkamaksu 32,50 €. Kanta-maksu on 3,50 € ja veloitetaan kaikista Omakantaan tallennettavista käynneistä. Asiantuntijakohtaiset hinnat löydät asiantuntijan omasta profiilista.
Vastaanotto
- Hjerppe Anna, Ihotautien ja allergologian erikoislääkäri
- Koskenmies Sari, Ihotautien erikoislääkäri
- Raitio Hanna, Iho- ja sukupuolitautien erikoislääkäri
- Ranta Noora, Erikoistuva ihotautilääkäri
Ihomuutosten poisto
Hinta sisältää VISIA-ihoanalyysin ja PDT-hoidon.
Vastaanottokäynnin hintaan lisätään poliklinikkamaksu 32,50 €. Kanta-maksu on 3,50 € ja veloitetaan kaikista Omakantaan tallennettavista käynneistä. Asiantuntijakohtaiset hinnat löydät asiantuntijan omasta profiilista.

